
Zamki, dwory obronne, mury miejskie, grodziska
Forum miłośników średniowiecznych fortyfikacji (zał. 05 Lis 2007)
Zwany też jako Zamek Książęcy.
Na Ostrowie Tumskich już we wczesnym średniowieczu powstał gród obronny. Stanowił on siedzibę pierwszych Piastów. Składał się on z podgrodzia i siedziby książęcej. Na podgrodziu już ok.. 1000 roku wzniesiono romańską katedrę. Obok nie powstał murowany dwór biskupi, a od XII wieku rozpoczęto wznosić kolejne budynku murowane. Obecnie jedyną pozostałością tego zamku jest kaplica św. Marcina. Zdaniem Małachowicza zamek romański z okresu od końca XII wieku do połowy XIII wieku składał się z trójbocznego narysu wałów drewniano-ziemnych, w których obrębie stały inne budynki. Były to: dwór biskupi, romański pałac książęcy i położona obok niego osiemnastoboczna kaplica. Budowle te powstały w latach 1163-1201 z inicjatywy Bolesława Wysokiego. Obok znajdowały się zabudowania opactwa z kaplicą św. Marcina. W latach 1242-1266 stare obwałowania drewniano-ziemne zastąpiono murowanymi. Mury obwodowe zamku wzmocniono basztami. U schyłku XIII wieku na obszarze Ostrowa Tumskiego coraz bardziej rosła rola duchowieństwa. Henryk IV erygował kolegiatę i wyspa została podzielona na część zachodnią - książęcą i wschodnią 0 biskupią. Po śmierci Henryka IV zamek użytkowany był coraz rzadziej. Odtąd ostrów tumski stał się ośrodkiem władzy biskupiej. Wg Chorowskiej zabudowa romańskiego zamku składała się z cylindrycznego donżonu pałacowego (dawniej uważanego za 18-boczną kaplicę) towarzyszącego mu budynku mieszkalnego (interpretowanego wcześniej jako relikt opactwa) i 4-bocznej kaplicy książęcej z prezbiterium. W latach 70-tych XX wieku niektóre relikty zamku odsłonięto i wyeksponowano.
obwarowania wczesnośredniowiecznego grodu na Ostrowie Tumskim

Zamek Piastowski na Ostrowie Tumskim we Wrocławiu. Rzut piwnic i wykopów z rozwarstwieniem chronologicznym murów. Opracowanie: prof. dr hab. inż. arch. Małgorzata Chorowska. Rysunek: mgr inż arch. Mariusz Caban.

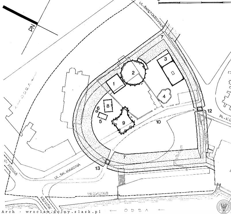
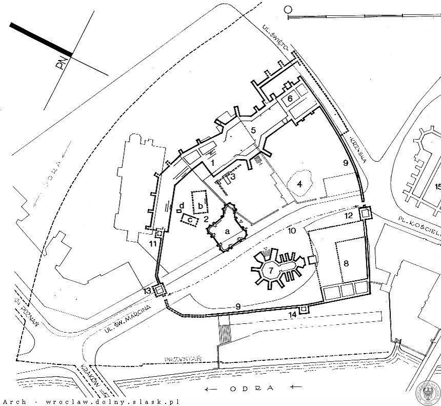
Zamek Piastowski/Książęcy (A) na tle współczesnej zabudowy Wrocławia

plan zamku na Ostrowie wg. E.Małachowicza 1994

rekonstrukcja planu zamku romańskiego z XIII wieku: 1-pałac, 2-kaplica romańska, 3-opactwo, 4-kaplica św. Marcina, 5-łaźnia, 6-piec, 7-wały obronne, 8-kuchnia, 9-kaplica późnoromańska, 10-droga wiodąca ze szlaku do podgrodzia, 11-miejsce kościółka sw. Piotra i Pawła, 12-brama Grodzka, 13-brama Wodna

rekonstrukcja planu zamku gotyckiego z końca XIII wieku: 1-pałac, 2-zabudowa przy kaplicy późnoromańskiej (a-kuchnia, b-łaźnia, c-piec) , 3-trakt komunikacyjny pałacu, 4-miejsce kaplicy św. Marcina, 5-dworska kaplica gotycka, 6-opactwo, 7-kaplica grobowa, 8-nie dokończony klasztor Cysterek, 9-mury obronne, 10-droga wiodąca ze szlaku do podgrodzia, 11-baszta zachodnia, 12-brama Grodzka, 13-brama Wodna, 14-baszta południowa, 15-kościół św Krzyża.

Ostrów Tumski na planie J.D.Schleuna z 1741 roku

rekonstrukcja zamku romańskiego z XIII wieku

rekonstrukcja zamku gotyckiego z końca XIII wieku

pozostałości zamku na Ostrowie na rysunku Wernera z 1760 roku

wieża przybramna zamku na Ostrowie w 1824 roku na rysunku H.Mutzla

grafiki: źródło https://polska-org.pl
Damian44 Wysłany: 07 Paź 2012 16:09
(21 maj 2008)






czcibor Wysłany: 06 Lis 2012 21:46
Oprócz niezbyt ciekawych zdjęć kościoła Św. Marcina załączam ciekawą planszę/tablicę informującą o trawjącej przebudowie Klasztoru Sióstr Szkolnych de Notre Dame. Jak wynika z informacji zawartych, po przebudowie eksponowane mają tam być relikty zamku romańskiego oraz gotyckiego. Dużo więcej nie wiem - na drugiej, żółtej tablicy pisało, że koniec inwestycji planowany jest na 30 listopada, więc może nie długo będzie otwarcie. Póki co tyle co piszą w internecie:
| Cytat: |
|
Źródło: http://ssnd-wroclaw.pl/wydarzenia.html
| Cytat: |
|
Może być ciekawie



carrollus Wysłany: 07 Lis 2012 8:53
Znaczy się co? Kostką brukową wyłożą alejki aby zaznaczyć gdzie są mury? Bo jakoś nie moge uwierzyć by ktoś się porwał na odkopanie i ekspozycję tych reliktów, zwłaszcza w takim kraju jak Polska.
W piwnicach klasztoru zachowały się spore fragmenty budowli romańskiej i gotyckiej, co widać na zdjęciach na Hydralu, ale czy siostrzyczki pójdą po rozum do głowy, żeby to udostępnić?
czcibor Wysłany: 07 Lis 2012 9:55
Wiem tyle co z planszy i tych dwóch źródeł internetowych.
carrollus Wysłany: 09 Wrz 2013 19:52
Zamek zwiedzałem podczas "Nocy Kościołów", a w zasadzie to jeszcze w ciągu dnia, przed oficjalnym otwarciem, bez tłumów statystów i opieki przewodnika. Po zadzwonieniu do bramy wpuściła mnie siostra furtianka (tak się to chyba nazywa) i pokazała gdzie mogę sobie pochodzić, za co później dostała burę, bo przed 19-tą nikogo mieli tam nie wpuszczać.
Udostępnione do zwiedzania są piwnice z reliktami romańskimi i podwórzec ze ścianą wczesnogotyckiego zamku. Wszytko jest ładne, nowe, czyste, ciekawie oświetlone, brakuje tylko tabliczek z opisem co dokładnie przedstawiają konkretne relikty, ale to szczegół, bo jakby powiedział klasyk "cegły jak cegły"...Do tego zwiedzanie nic nie kosztuje, więc warto wrzucić symboliczną złotówkę do "skarbonki", bo w dzisiejszych czasach to rzadkość. (fot. czerwiec 2013)
Widok ogólny na "atrapę" od strony podwórza

Budynek klasztoru wraz z wyeksponowaną XIII-wieczną ścianą zamku wczesnogotyckiego od strony podwórza

Odsłonięte spod tynku fragmenty ścian widziane z podwórza ZOL-u (również wchodzimy po naciśnięciu dzwonka do bramy)

Ściana z zamurowanym oknem

XIII-wieczna ściana zamku. Wykusz jest późniejszy, ale też średniowieczny

Atrapa, czyli "wyeksponowane" XIII-wieczne mury zamku wczesnogotyckiego

A teraz hop, siup i ciup i jesteśmy w środku. Najpierw "Komnata Jadwigi" mieszcząca się w wykuszu

A tu jakaś piwniczka

Fragment wczesnogotyckiej ściany w podziemnej ekspozycji

No i mamy pierwszy relikt romański, tj. fundament pałacu

Potem połowę filara 18-bocznej kaplicy romańskiej

Kawałek fundamentu jej ściany

A potem jeszcze jeden

Elegancko widoczne nawarstwienia zamku wczesnogotyckiego na reliktach romańskich

A teraz wyskakujemy na zewnątrz i patrzymy na "wyeksponowane" za komuny relikty zamku wczesnogotyckiego. O tu jest mur obwodowy, kawałek baszty południowej i kościół św. Marcina




Kościół oczywiście był zamknięty, mimo że niedziela, a i tłumy turystów wokoło..


Na koniec zarys wieży przybramnej uwieczniony w chodniku

EDIT:
Po przejrzeniu zasobów odkryłem takie oto fotki z nieistniejącej już strony na której pokazano jak postępowały prace remontowe. Na zdjęciu ściany zamku (na 2-gim zdjęciu widać watek wendyjski), niestety wygląda na to, że poza ekspozycją.

czcibor Wysłany: 16 Maj 2016 7:59
|
|
|
| http://medievalis.przewodnikwroclaw.eu/2016/05/tajemnice-ogrodu-siostr-szkolnych-de-notre-dame-na-ostrowie-tumskim-wroclawiu/ |
carrollus Wysłany: 17 Maj 2016 21:31
Fajnie toto ktoś opisał. Ciekawe tylko, czy za naszego żywota to udostępnią do normalnego zwiedzania.
Zamek Piastowski we Wrocławiu ws świetle najnowszych badań
Dnia 7 czerwca 2017 r. na zebraniu wrocławskiego oddziału Polskiego Towarzystwa Numizmatycznego w murach arsenału wrocławskiego gościła prof. Małgorzata Chorowska, specjalistka z zakresu architektury średniowiecznej. Profesor wygłosiła wykład na temat reliktów zamku piastowskiego na Ostrowie Tumskim we Wrocławiu w świetle najnowszych badań.
Prace prowadzone tu w latach 2011-12, 2014 pozwoliły uzupełnić i zweryfikować tezy zaproponowane przez naukowców zajmujących się wymieniony obszarem badawczym w latach wcześniejszych, między innymi prof. E. Małachowicza, a także zaowocowały powstaniem trasy turystycznej i udostępnieniem części reliktów dla zwiedzających. Pozostało jednak jeszcze wiele do zrobienia. Podczas spotkania została zaakcentowana paląca potrzeba niezwłocznego ratowania bezcennych reliktów, odsłoniętych w ogrodzie klasztornym Sióstr Szkolnych de Notre Dame w 2014 r., które do tej pory pozostają pod gołym niebem, narażone na działanie czynników atmosferycznych. Relikty mają już niewiele czasu. Mogą pod gołym niebem przetrwać 6 sezonów nim ulegną destrukcji, połowa cennego czasu już minęła.. Zgromadzenie nie jest w stanie pokryć kosztów prac związanych z zabezpieczeniem reliktów i udostępnieniem ich dla zwiedzających. Konieczna jest dotacja ze skarbu państwa.
W podziemiach klasztornych, udostępnionych dla zwiedzających, możemy zobaczyć między innymi relikty budowli osiemnastobocznej, która w świetle najnowszych badań, powstała w 3 tercji XII w. jako rezydencja księcia Bolesława Wysokiego. To najnowsza interpretacja reliktów, zaprezentowana przez profesor M. Chorowską. Funkcja budowli budzi jednak nadal kontrowersje. Profesor Edmund Malachowicz, który badał relikty w latach siedemdziesiątych, zaprezentował tezę o sakralnym przeznaczeniu tej budowli. Koncepcja ta po dziś dzień ma swoich zwolenników, choć wydaje się, że pozostają oni w mniejszości. Średnica wieży mieszkalnej Bolesława Wysokiego wynosi blisko 25 m, co czyni ją największą tego typu budowlą w ówczesne Europie. Zachowały się relikty filarów fundamentowych oraz filara centralnego a także muru płaszczowego, który zabezpieczał budowlę od strony północnej. Za panowania Henryka I Brodatego i jego małżonki, Jadwigi Diessen-Andechs, zaliczonej w 1267 r. w poczet świętych kościoła katolickiego, doszło do przebudowy zamku wrocławskiego. Budowla osiemnastoboczna została wówczas częściowo wyburzona a jej miejsce zajął prostokątny pałac z masywną czworoboczną wieżą usytuowaną w jego północno-wschodniej części. Południowa ściana tego pałacu widoczna jest częściowo w podziemiach klasztornych a częściowo w wykopie w ogrodzie. Zachodnia część wieży wraz z podpiwniczeniem została odsłonięta w 2014 r. podczas wykopalisk archeologicznych w ogrodzie, jej wschodnia część pozostaje pod ziemią. Najprawdopodobniej za panowania Henryka Brodatego powstała na dziedzińcu kaplica, której relikty nie zostały odsłonięte podczas ostatnich badań. Usytuowane są na terenie dwóch zakonów, sióstr de Notre Dame i sióstr Nazaretanek. Wnuk Henryka Brodatego, Henryk III Biały otoczył teren zamku murowanymi fortyfikacjami, zastępując nimi dawny drewniano-ziemny wał. Także i one dostępne są dla zwiedzających w piwnicach klasztornych. Okres największej przebudowy i rozkwitu zamku przypada na panowanie księcia Henryka IV Probusa. Powstał wówczas potężny gotycki zamek, określany niekiedy jako śląski Wawel. W miejscu dawnej budowli osiemnastobocznej wzniesiono imponującą aulę na planie ośmioboku, ujętą od północy i południa potężnymi przyporami, których długość sięgała 5 metrów. Całość przebudowanego pałacu przypomina założenie tego typu znajdujące się w dawnym Akwizgranie. Na dziedzińcu ruszyła wówczas budowa kolejnej kaplicy, która w zmienionej formie przetrwała do naszych czasów jako kościół św. Marcina. Relikty zamku Henryka IV Probusa widoczne są zarówno w podziemiach klasztornych jak i w wykopie w ogrodzie.
Po bezpotomnej śmierci Henryka IV Probusa nastąpił okres walk o władzę na pozostawionych przez niego ziemiach. Książęta na Ostrowie już nie rezydowali. Zamek przeszedł w użytkowanie kleru, z czasem został rozebrany a na jego miejscu powstały kurie kanonickie. Także relikty tych ostatnich możemy zobaczyć w budynku klasztoru i w wykopie w ogrodzie.
Po wykładzie rozgorzała dyskusja na temat sposobu datowania zabytków zespołu oraz formy jego konserwacji i ewentualnej rekonstrukcji. Pojawiły się głosy na rzecz odbudowy i rekonstrukcji zamku z etapu jego przebudowy dokonanej przez Henryka IV Probusa. Projekt niezwykle kosztowny i ryzykowny. Rekonstrukcja stanowi silną ingerencję w oryginalne relikty, zaburza ich substancję i zawęża pole badawcze dla przyszłych pokoleń. Mniej kosztownym i bezpieczniejszym dla zabytku rozwiązaniem byłoby jego zabezpieczenie, zadaszenie, udostępnienie zwiedzającym i zainstalowanie pomocy multimedialnych, które obrazowałyby poszczególne fazy rozbudowy zamku.
Jolanta Szczepańska
17.06.2017
źr: http://historykon.pl
2019
teren zamkowy z kościołem św. Marcina












przebieg muru

dom Notre Dame z reliktami zamku




portal

w środku













makiety



wykopki na zewnątrz













carrollus Wysłany: 25 Lut 2019 0:24
No proszę, odkopali trochę od czasu mojego pobytu tamże. Jak ze wstępem na teren to teraz wygląda? Do kościoła wbijałeś między mszami?
Kościół przed mszą, do Domu Notre Dame wejście 10 zł
czcibor Wysłany: 11 Kwi 2019 13:27
@Becik, o której są tam msze? Ostatnio raz po raz zawodowo jeżdże do Wrocławia i może się uda wbić.
w niedzielę koło 10-11, już nie pamiętam dokładnie o której tam byłem...
zerknąłem na datę i godzinę wykonania foty z wnętrza - 09.56 ![]()
czcibor Wysłany: 20 Maj 2019 11:26
Dziękować. Zawsze mnie ten kościółek fascynował a niemożność dostania się do niego pogłębiała fascynację. Więc postaram się w jakąś niedzielę tam zawitać.
carrollus Wysłany: 14 Gru 2023 0:32
W dobrym kierunku to idzie. Wstęp darmowy, przytulna restauracja.
W podziemiach pojawiły się plansze. Można poczytać i się czegoś dowiedzieć.


Mury w auli. Poza ekspozycją, ale nie było problemu z zobaczeniem

Na zewnątrz mury pną się do góry, a robotnicy pracują pełną parą.

Tu arkady budowli XII - wiecznej

A tu potężne mury budowli XIII - wiecznej

Wieża XIII - wieczna
